- Home
- Government
- Departments
- Engineering
- Past Projects
- OPWC Projects
Completed OPWC Projects
Ohio Public Works Commission (OPWC) Projects
OPWC 38 A&B - 2025 Construction
In-house repairs:
OPWC 37
2024 Engineering Department contract work (work will be completed prior to November 1, 2024):
2024 Street Department In-house Road Rehab Work (priority list as funding allows):
OPWC 37A
Project Information:
Contractor: D.L. Smith Concrete, LLC.
Project Manager: Jessica Potter
Cost: $1,224,172.68
Construction Start date: June 17th, 2024
Construction Completion date: October 17th, 2024
OPWC 37B
Project Information:
Contractor: Terminal Ready-Mix, Inc.
Project Manager: Jessica Potter
Cost: $1,243,411.18
Construction Start date: June 24th, 2024
Construction Completion date: August 7th, 2024
OPWC 36 A&B - 2023 Construction
OPWC Roadways to be Rehabilitated
OPWC 36A
Project Information:
Contractor: Terminal Ready Mix
Project Manager: Jessica S Potter
Cost: $1,033,683.355 + 10% contingency.
Construction Start date: May 30, 2023
OPWC 36B
Project Information:
Contractor: Terminal Ready Mix
Project Manager: Jessica S. Potter
Cost: $529,369.90 + 10% contingency.
Delayed Construction Start date: May 30, 2023
OPWC 35A
Project Information:
Contractor: Fabrizi Trucking and Paving
Project Manager: Jessica Potter
Cost: $747,522.65 + 10% contingency.
Construction Year: 2022
OPWC 35B
Project Information:
Contractor: Terminal Ready Mix
Project Manager: Jessica Potter
Cost: $1,037,352.00 + 10% contingency.
Construction Year: 2022
Project Schedule for OPWC 34 A and OPWC 34B
Detailed Project Schedule for OPWC 34A and OPWC 34B
OPWC 34A
Project Information:
Contractor: Terminal Ready Mix
Project Manager: Veronica A Newsome
Cost: $905,488.89 + 10% contingency.
Delayed Construction Start date: 08/23/21
OPWC 34B
Project Information:
Contractor: Terminal Ready Mix
Project Manager: Jessica S. Potter
Cost: $713,847.89 + 10% contingency.
Delayed Construction Start date: 08/23/21
OPWC 33A
Project Information:
Contractor: D.L. Smith
Project Manager: Veronica Newsome and Seth Schilling
Cost: $1,296,914.99
Construction Year: 2019
OPWC 33B
Project Information:
Contractor: D.L. Smith
Project Manager: Jessica Potter
Cost: $ TBA
Construction Year: 2019
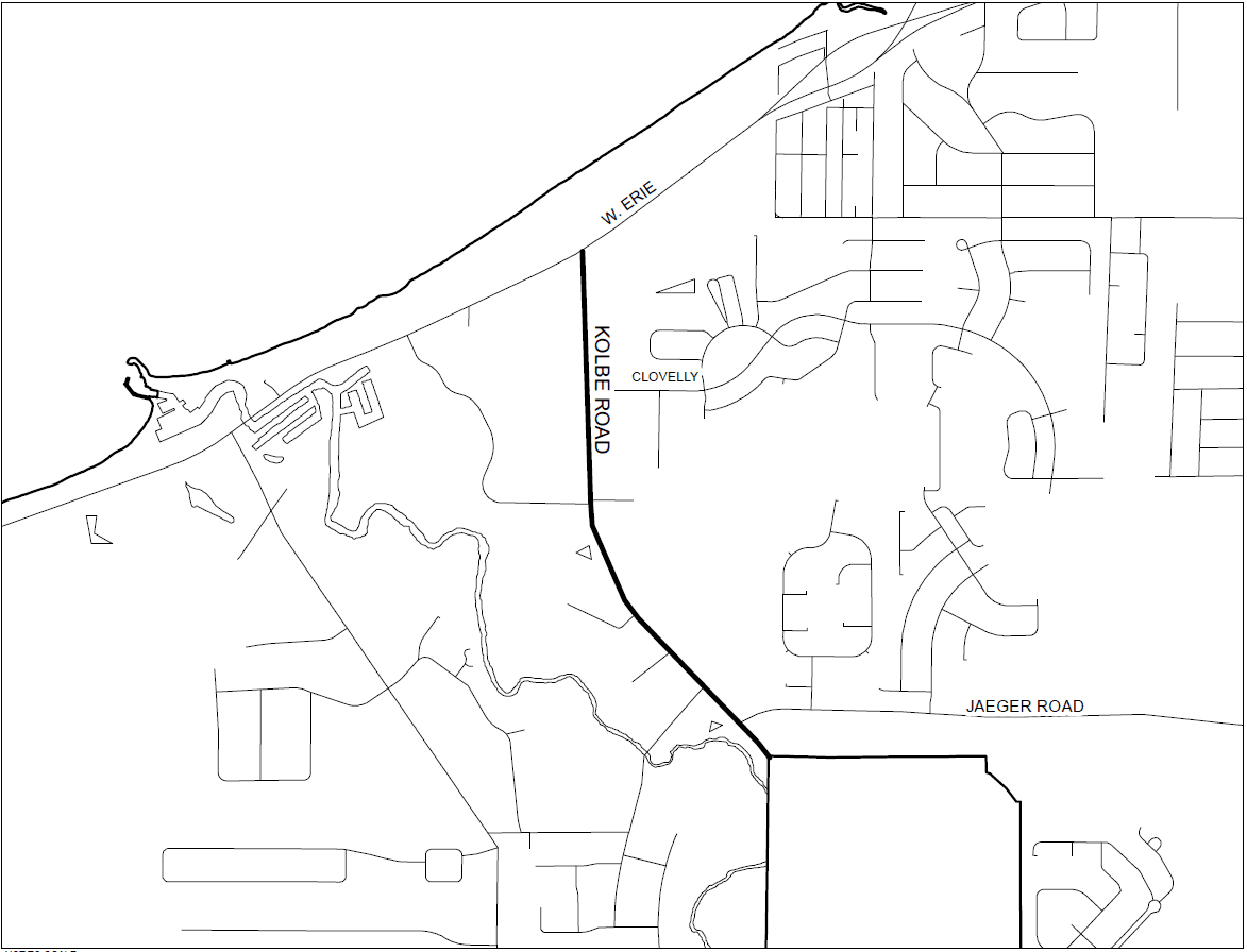
OPWC 32C - Kolbe Road
Project Information:
Contractor: Erie Blacktop, Inc.
Project Manager: Doug Hasel
Construction Year: 2018